L’uragano Melissa continua a causare vittime e danni. La tempesta di categoria 5, che si è abbattuta sulla Giamaica il 28 ottobre con venti fino a 250 km/h, si è spostata a Cuba, poi ad Haiti e nella Repubblica Dominicana e punta alle Bahamas.
AGGIORNAMENTO DEL 29 OTTOBRE
Il passaggio dell’uragano Melissa sulle isole dei Caraibi continua causare vittime e danni. Oltre alle 7 persone già registrate tra Giamaica, Cuba e Repubblica Dominicana ieri al bilancio, ancora provvisorio, si aggiungono 25 morti ad Haiti e un numero imprecisato di dispersi. Le autorità giamaicane sono al lavoro per valutare i danni causati dal tifone a Black River, il punto in cui Melissa ha toccato terra.
Oltre a linee elettriche abbattute, cumuli di detriti e veicoli sommersi, l’uragano ha danneggiato anche quattro ospedali, lasciandone uno senza elettricità e costringendo le autorità a evacuare 75 pazienti, secondo quanto affermato dal vicepresidente del Consiglio per la gestione dei rischi di catastrofe della Giamaica, Desmond McKenzie.
Più di mezzo milione di persone sono rimaste senza elettricità fino a ieri sera. Il governo spera di poter riaprire gli aeroporti del Paese già da giovedì 30 ottobre, per consentire la distribuzione dei rifornimenti di emergenza. La scia di distruzione lasciata dalla bufera ha spinto primo ministro Andrew Holness a dichiarare ieri l’isola “zona disastrata”.
Dalla Giamaica l’uragano Melissa si è diretto poi verso Cuba, dove le autorità hanno disposto l’evacuazione di oltre 700.000 persone. Declassata alla categoria 3, la tempesta ha toccato terra nella città di Santiago de Cuba, la seconda più grande del Paese, con venti a 195 km/h, per poi spostarsi anche sulla provincia di Guantanamo.
“La notte è stata molto complessa”, ha dichiarato il presidente cubano Di’az-Canel sul suo account social, senza fornire ulteriori dettagli sui danni, ma esortando i cubani “a rimanere ben riparati”.
La tempesta catastrofica ha colpito anche Haiti e la Repubblica Dominicana, provocando ulteriori vittime e danni. L’uragano, sceso a categoria 3, punta adesso sulle Bahamas dove l’impatto è previsto entro oggi con raffiche di vento fino a 170 km/h.
Stando ai dai della National Oceanic and Atmospheric Administration, l’uragano Melissa ha eguagliato il record del 1935 della tempesta più intensa che ha mai toccato terra, quella che devastò le Florida Keys con venti che sfioravano i 300 chilometri orari e una pressione atmosferica di 892 millibar.
ARTICOLO DEL 28 OTTOBRE 2025
Per prepararsi all’uragano Melissa, il rifugio Dolphin Cove ha trasferito i 35 delfini tursiopi in tre strutture a Ochos Rios e Montego Bay, in Giamaica.
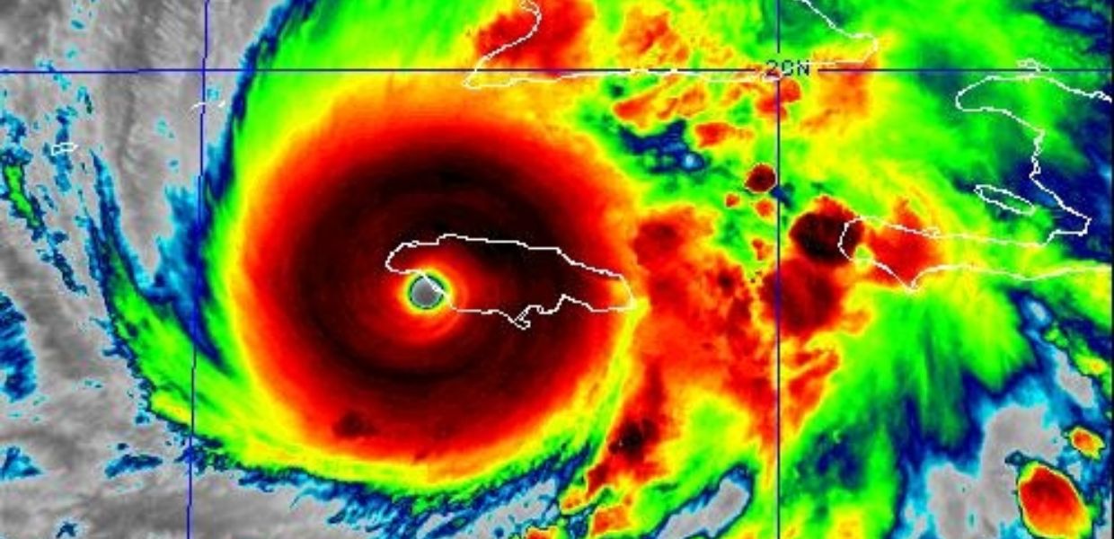
Secondo il National Hurricane Center, l’arrivo della tempesta in Giamaica, la più potente della stagione atlantica del 2025, è previsto per il 28 ottobre. Con venti che raggiungeranno i 280 km/h, Melissa è destinato a diventare il primo uragano di categoria 5 dell’isola caraibica.
L’approdo dell’uragano è previsto tra Black River e Treasure Beach, sulla costa meridionale, dove le onde potrebbero raggiungere fino a 4 metri di altezza e provocare inondazioni e frane catastrofiche. Secondo le autorità, l’uragano ha già causato diverse vittime, tre in Giamaica, tre ad Haiti e una nella Repubblica Dominicana.
Per la Croce Rossa, la tempesta catastrofica si avvicina alla Giamaica potrebbe essere la più forte che abbia mai colpito l’isola da quando sono iniziate le prime rilevazioni meteorologiche, 174 anni fa, e potrebbe colpire 1,5 milioni di persone.
Il primo ministro Andrew Holness ha avvertito di danni particolarmente significativi nella parte occidentale del Paese e ha esortato i residenti a evacuare le aree più a rischio.
12PM Update: The eye of #Melissa is approaching the southwestern coast of Jamaica. STAY IN YOUR SHELTER! For the latest visit https://t.co/tW4KeGe9uJ pic.twitter.com/0QcTSaKIlN
— National Hurricane Center (@NHC_Atlantic) October 28, 2025


